ファミリーバケーションハワイ
vol.18
もくじ
ハワイに来たら、やっぱりビーチで泳ぎたい!という方も多いでしょう。ハワイの人気情報誌『ハワイマガジン』が実施した「2024年ハワイのベストビーチ」読者投票では、オアフ島内でワイキキビーチに次ぐ2位にランクインしたハナウマ湾。また、「ベストシュノーケルスポット」では堂々の1位を獲得しています。透き通る海と豊かなサンゴ礁と熱帯魚が魅力のハナウマ湾は、ハワイを訪れたら一度は行ってみたいスポットです。今回は、そのハナウマ湾の魅力と事前予約やアクセス方法をご紹介します。
ベストシュノーケルスポットで人気のハナウマ湾とは?
ハナウマ湾は、オアフ島の東海岸に位置する自然保護区で、ハワイを代表するシュノーケリングスポットのひとつです。火山の噴火によって形成された湾は、波が穏やかで透明度が高く、美しいサンゴ礁やカラフルな熱帯魚が数多く生息しています。そのため、初心者やファミリーも安心してシュノーケリングを楽しむことができます。
ハナウマ湾はハワイ州が環境保護のために管理しており、訪問者には入場時に環境保護に関するビデオの視聴が義務付けられています。これにより、海洋生態系を守りながら観光を楽しめる仕組みが整っています。近年では、入場制限や予約制度が導入され、持続可能な観光地としての取り組みが進められています。入場できるのは1日あたり1400人までです。
ハワイならではの豊かな自然と美しい海の世界が広がるハナウマ湾は、ハワイに訪れたらぜひ立ち寄りたいスポットです。
ハナウマ湾の利用時間、予約方法とアクセス
ハワイを代表するシュノーケリングスポットとして知られるハナウマ湾は、環境保護の観点から厳格な利用ルールのもと運営されています。利用可能日は水曜日から日曜日までの週5日間で、月曜日と火曜日は保全活動のため立ち入れません。クリスマス、元旦もクローズしています。
午前6時45分から午後1時30分までが入場時間なので、午後1時30分を過ぎると入場できません。利用時間は午後4時のため、滞在時間を考慮しながら計画を立てることが重要です。入場料は1人25ドル(オンライン予約の場合、2.35%のサービス料追加)で、12歳以下の子どもとハワイ在住者(ID提示が必要)は無料です。
ハナウマ湾への訪問には、混雑を避けるための予約制度が導入されています。訪問日の48時間前(ハワイ時間午前7時)からオンライン予約が可能です。繁忙期はすぐに定員となるため、予約受付が開始されたらすぐに手続きを行うことをおすすめします。1度に予約できるのは大人5名、子ども5名の最大10名まで。オンライン予約ができなかった場合でも、午前6時45分の開園時に現地で当日券を購入することも可能です。ただし、当日券の販売数には限りがあり、また購入時にグループ全員が揃っている必要があるため、全員で早めに到着しましょう。
ハナウマ湾へのアクセス方法はいくつかあり、レンタカーや配車サービス(Uber・Lyft)を利用する場合、ワイキキからの所要時間は約30分です。レンタカーで訪れる場合は、駐車場は300台あり、先着順での利用なので事前予約はできません。駐車台数に限りがあるので、できるだけ早めに到着するとよいでしょう。駐車料金は、ハワイ在住者が1ドル、観光客は3ドルで、支払いは現金のみ。駐車場の混雑を気にせず移動できる配車サービスなら、快適にアクセスできます。
公共バス(The Bus)を利用する場合、ワイキキからルート2または13に乗車し、
「Kapiolani Bl + Waialae Ave」や「Hunakai St + Waialae Ave」で下車後、ルート1Lに乗り換えます。「Lunalilo Home Rd + Kalanianaole Hwy」のバス停で下車し、そこから徒歩約30分でハナウマ湾に到着します。所要時間は約1時間半で、片道運賃は大人3ドルです。ただし、バスの本数が限られているため、帰りの時間には注意が必要です。特にシュノーケリング後の疲れを考慮し、帰りはUberやLyftを活用するのもひとつの方法です。
ハナウマ湾をよりスムーズに訪れる方法として、送迎付きのオプショナルツアーに参加するのも方法もあります。ツアーにはさまざまなプランがあり、60ドル前後のプランには送迎とシュノーケルセットが含まれ、100ドル以上のプランでは日本語インストラクター付きのシュノーケリングツアーが含まれています。
オプショナルツアーを利用すると、ハナウマ湾の公式サイトでの事前予約が不要となり、確実に入場できる点が大きなメリットです。特に繁忙期には、入場保証付きのツアーを利用することで、安心してスケジュール管理できます。また、ハナウマ湾は広いため、インストラクターが効率的に案内してくれるのもツアーの魅力のひとつです。
ハナウマ湾でシュノーケリングを楽しむ際の流れとポイント
では、実際に入場してみましょう。ハナウマ湾でシュノーケリングを楽しむには、入場後に環境保護に関するビデオの視聴が義務付けられています。これは、ハワイ州がサンゴ礁や海洋生物を保護するために設けたルールであり、自然を保護しながら観光を楽しんでもらうための大切な取り組みです。
入場後にまず、ハナウマ湾のスタッフによる説明を受けます。この説明では、湾内でのルールや注意点が案内されるため、しっかり聞いておくことが重要です。また、このエリアにはトイレがあるため、説明が始まる前に済ませておくのがおすすめです。
次に、ビデオ視聴ルームへ40人ずつ順番に案内され、約9分間の環境保護に関する動画を視聴します。この動画では、サンゴ礁を傷つけないための注意点や、ハナウマ湾の生態系を守るためのルールが説明されます。特に、湾内では環境に優しい「リーフセーフ」日焼け止めの使用が推奨されており、一般的な化学成分を含む日焼け止めはサンゴ礁に悪影響を与えるため使用が制限されています。
視聴ルームに入る際は、できるだけ出口に近い席に座るのがおすすめです。視聴が終わると、ビーチへ移動する専用トラム(無料)が運行しています。トラムは混雑時にはすぐに満席になり、次の便を待たなければならないこともあります。出口付近に待機していれば、視聴後スムーズにトラムまで移動できるので、早めに乗車することができます。なお、トラムを利用すれば数分でビーチエリアに到着しますが、徒歩でもアクセス可能です。
個人で訪れる場合は、到着後すぐにビーチ内の場所取りをしましょう。特に人気のエリアは早い時間に埋まるため、午前中の早い時間に訪れると快適に過ごせます。ツアーに参加している場合は、ガイドが案内してくれるため、ガイドに従って行動するとスムーズです。ビーチには更衣室やトイレもありますが、水着をあらかじめ着用しておくとより効率的に楽しめます。
また、個人で訪れる場合は、現地でシュノーケル用具を20ドルでレンタルできます。ライフジャケットやウェットスーツは各10ドル。貴重品を預けるロッカーも用意されており、小型(貴重品サイズ)が10ドル、大型(かばん1つ分のサイズ)が12ドルです。支払いはすべてクレジットカードで、現金払いはできません。レンタル用品は、オンラインで事前予約しておく方が繁忙期には安心です。
個人、ツアー問わず、ビーチタオルとサンゴ礁に優しい日焼け止めは必須アイテムです。特に個人で訪れる場合は、レジャーシートやビーチチェア、パラソル、ドリンクや軽食などを持参すると、より快適に過ごせるでしょう。
また、ハナウマ湾内のギフトショップ(午前8時~午後3時半)や売店(午前8時半~午後2時)では、支払いはクレジットカードまたはデビットカードのみ対応しています。現金は使用できないため、クレジットカードを忘れずに持参しましょう。
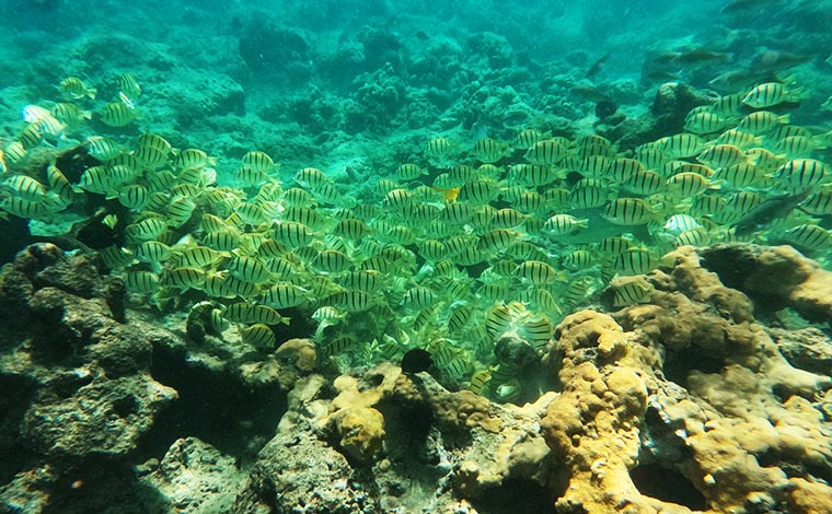
透明度の高いハナウマ湾と色鮮やかな魚を楽しめるシュノーケリング
ハナウマ湾には、ハワイ州が定める海洋保護区ならではの多種多様な魚が生息しています。特に、ハワイの州魚として有名な「フムフムヌクヌクアプアア」は、ブルーやイエローの模様が美しく、ひときわ目を引きます。
写真提供:Blue Hawaii Divers
写真提供:Blue Hawaii Divers
また、群れをなして泳ぐ黄色いボディが特徴の「イエロータン」や、浅瀬でよく見かける「チョウチョウウオ」、「シマハギ」など、まるで水族館の中を泳いでいるかのような感覚を味わえるでしょう。
写真提供:Blue Hawaii Divers
さらに、運が良ければウミガメ(ホヌ)に出会えることもあります。ウミガメは岩場近くで見かけることが多く、ゆったりと優雅に泳ぐ姿に癒されること間違いなし。ただし、ハワイ州ではウミガメへの接触や接近は禁止されているため、距離を保ちつつ、そっと観察しましょう。
湾内の浅瀬でもサンゴ礁が広がっているため、シュノーケリングをする際は絶対にサンゴに触れないよう注意しましょう。サンゴは非常に繊細で、一度傷つくと再生に長い時間がかかります。足がつく場所では、慎重に泳ぐか、フィンを使ってゆっくり移動するのがポイントです。サンゴ礁で手や足を切ってしまうこともあるので、ウェットスーツの着用をおすすめします。
ハナウマ湾では家族連れでシュノーケリングを楽しむ方も多いですが、お子様のシュノーケリングには注意点があります。既にシュノーケリングの経験があるお子様は問題ありませんが、初めてシュノーケリングをする場合は、年齢や個人差にもよりますが、事前に練習をしておくと当日安心してシュノーケルができるでしょう。
事前練習は、例えば、安価なシュノーケルマスクを購入し、お風呂で遊び感覚で練習することでスムーズにシュノーケルを楽しめるようです。当日、初めてシュノーケルマスクを付けて海に入ると、息の仕方がわからなかったり、怖いといったことでシュノーケリングができず、砂浜で待っていなければならないこともあります。特に未就学のお子様を連れて行く場合は、事前練習をしておくとよいでしょう。
初心者から上級者まで楽しめるシュノーケリングスポットとして、世界中から訪れる人々を魅了し続けているハナウマ湾。ハワイの美しい海を満喫しながら、色とりどりの魚たちとの出会いをお楽しみください。
ハナウマ湾
住所 7830 Kalanianaole Hwy, Honolulu,
利用時間 6:45 a.m. ~ 4:00 p.m. 休み:月、火
料金 25ドル(ハワイ在住者(ID提示が必要)、12歳以下:無料)
————————————–
現在、ヒルトングランドバケーションズではアンケートに答えて「また行きたい旅」を当てよう!キャンペーンを開催中です。ハワイ旅行、もしくは航空券付きの沖縄の宿泊券3泊他、豪華賞品が抽選で当たるキャンペーンは、2026年3月31日まで実施中。
ウェブサイトからのご応募はこちらからどうぞ

2026年ワイキキにオープン予定のカ・ハク・ヒルトンクラブ
かつてのキングスビレッジ跡地に誕生する「カ・ハク・ヒルトンクラブ」は、ワイキキのカラカウア通りとクヒオ通りのどちらにも徒歩1~2分という絶好のロケーションに位置するリゾートです。
32階建ての館内には、オーシャンビュー、マウンテンビュー、シティビューを望む213室のスイートを完備しています。スタジオ、1ベッドルーム、2ベッドルーム、3ベッドルームの多彩な客室タイプが揃い、モダンで洗練された空間が、ワンランク上のハワイ旅行を演出します。
リゾート内には屋外プールやプールバーがあり、近隣のワイキキビーチで楽しむのはもちろん、リゾート内のプールやプールサイドでもゆったりとしたひとときをお過ごしいただけます。
ヒルトングランドバケーションズのリゾートは▼こちらから!
◉【ヒルトングランドバケーションズ】
オアフ島のリゾート一覧
ハナウマ湾は、ハワイ屈指のシュノーケリングスポットとして、透明度の高い海と豊かな海洋生物が魅力の観光地です。訪れる際は、事前予約や入場ルールをしっかり把握し、ワイキキからのアクセス方法など確認しながら計画しましょう。レンタカーやバス、オプショナルツアーなど、さまざまな移動手段があるため、旅行プランに合った方法で、美しいハナウマ湾を満喫してください。
HAWAIʻI EXPO 2025にヒルトングランドバケーションズデスクが今年も出展
2025年5月10日・11日の2日間、国立代々木競技場第二体育館でハワイ州観光局が主催の「HAWAIʻI EXPO 2025」が開催されます。「Beautiful Hawaiʻi」をテーマに、フラやハワイアンミュージックのステージ、トークショー、フラ・コンペティション、ワークショップ、ブース出展、メイド・イン・ハワイ商品の販売、ハワイの⾷⽂化を楽しめるフードエリアなど、ハワイの魅⼒を楽しめる2日間となっています。
ヒルトングランドバケーションズのデスクも今年も出展いたします。幅広い世代の方にハワイの魅力をお伝えします。
ハワイをはじめとする高級コンドミニアム・スタイルのお部屋でバケーションを満喫する、
新しい旅のカタチ「バケーション・メンバーシップ」の紹介をしております。
当日はぜひヒルトングランドバケーションズのデスクにお立ち寄りください。皆様のご来場をスタッフ一同お待ちしております。
HAWAIʻI EXPO 2025
開催日時:2025年5月10日(土)10:00 ~ 18:00
2025年5月11日(日)10:00 ~ 18:30
会場・アクセス:国立代々木競技場 第ニ体育館
HP :allhawaii.jp/expo/2025/




